1407 N NAVARR0, Victoria, TX
Others for Sale - $695,000
Agent Info
| Terence Moeller Coldwell Banker Commercial D'Ann Harper |
Property Info
| CIMLS# | 1186241 |
| Location 1407 N NAVARR0 Victoria TX 77904 | |
| Updated | January 11th, 2026 |
| Type | Others |
| Price | $695,000 |
Property Description
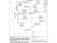
PRIME COMMERCIAL LOCATION LOCATED IN THE HEART OF VICTORIA, PROPERTY IS ACROSS FROM DETAR HOSPITAL LOCATED ON NAVARRO STREET, THIS PROPERTY CONSISTS OF 6 LOTS 405 E. GUADALUPE, 1407 N. NAVARRO, 1405 N. NAVARRO, 1409 N. NAVARRO ,401 E. GUADALUPE, AND 1406 N. WHEELER (1 LOT HAS A 892 SQ FT HOUSE THAT NEEDS REPAIRS AND 1 LOT HAS A 1799 SQ FT OFFICE BUILDING NEEDING REPAIRS) BEING SOLD ALL TOGETHER TOTALING .889 +/- ACRES. PROPERTIES ARE DEED RESTRICTED SEE AGENT REMARKS OR ASK LISTING AGENT ABOUT RESTRICTIONS.



